New Homes Conway - Site will list all new homes in Conway, SC
New Homes in Conway South Carolina
(843) 940-3609

This New Homes in Conway site is focused solely on providing a simplified guide to all of the new home communities in Conway, SC. This web site is independently managed to serve and support development of the Conway community and is a unique Conway new home resource. All Conway new home communities are presented without the influence or dependence of community or builder advertising. Input to improving the quality of this community resource presenting new construction in Conway is welcomed and appreciated. Information on this site was last updated March 2026.
Cates Bay
Conway New Home Community By Big Oak Developers
Spring Beauty Drive, Conway, SC, 29526
Cates Bay - new subdivision in Conway
Cates Bay
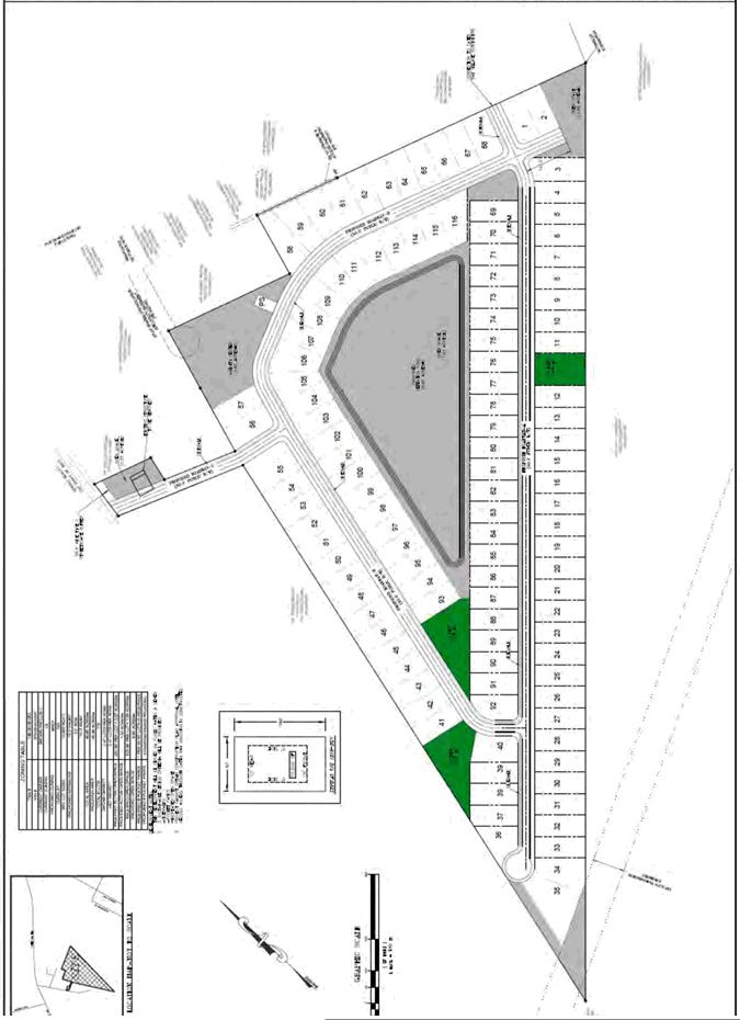
Conceptual Plan
Cates Bay Conceptual Plan
For information purposes only
Data subject to change
Data courtesy Horry County

Prices (estimate only) Starting from :
Summary of this Conway New Home Community:
Cates Bay is a new home community coming to Conway that is in the early planning stages. The new home community of Cates Bay is located slightly southwest of downtown Conway just below Cates Bay Highway.

Spring Beauty Drive connects with Cates Bay Highway. Spring Beauty Drive is an existing 50 foot county road. A design modification was approved by the Horry County Planning Commission on February 2, 2023 to allow it to serve as the sole access for the new home community of Spring Beauty Estates, which has not yet been developed.

The owner previously attempted to rezone this property to SF 10 for 112 single family units back in November 2023, the request failed unanimously at Planning Commission and was denied at 1st reading by County Council. The current plans being proposed are to rezone to MRD-1 and develop 116 single family homes on this 46.96 acre of land.

Big Oak Developers are expected to be the land developers.

Timing for the development of this new Conway subdivision has not yet been announced.

Existing Homes for Sale in this Conway New Home Community:
Development in Cates Bay has not yet started.
Cates Bay Homes for Sale
Conway new home community news
New Construction in Conway - all active Listings
Conway new home community news
.Planned Future Subdivisions in the Myrtle Beach Area
Cates Bay is one of several new future subdivisions planned for the Myrtle Beach area. See below for a more complete list of the future subdivisions planned for the Myrtle Beach area.
CommunityAddressEst Multi-FamilyEst Single-Family
Ash PlantationHighway 701068
BrookhavenJuniper Bay Rd & Hwy 3786501017
Carroll FarmsW Hwy 19 and Hwy 668046
Cates BaySpring Beauty Drive0116
Cates Bay CrossingCates Bay Highway095
ClearbrookJohn Doctor Road0230
Collins JollieCollins Jollie Road01333
Colonial FarmsSC Highway 54897131
Copper Pointe116 Copper Pointe Loop0153
Country Manor EstateFour Mile Road049
Dunn's Ferry1260 West Cox Ferry Road051
East Cox Ferry TownhomesEast Cox Ferry Road750
Elmhurst PlaceRockwood Drive0115
Glenwood at Cates BayCates Bay Highway0100
Haven at Wild WingWild Wing Boulevard5340
HomesteadHighway 9050127
Hugo Road EstatesHugo Road053
Juniper Bay1400 Busy Corner Road061
Kingston PreserveHwy 378 & Hemingway Chapel Rd0407
Long Branch EstatesLong Branch Rd and Hwy 65074
Maple GroveCollins Jollie Road0343
Martin FarmBrowns Way Shortcut Rd0337
Medlen ParkMedlen Parkway1020
Mills PointeBelladora Road660
Norris FarmsDock Road0134
Oak Haven1815 Westridge Boulevard010
Palmetto Bays EstatesSC 814 & Route 544120350
Pelican PointeHwy 378 & Hemingway Chapel Rd0407
Reserve at MillpondMill Pond Lane2340
RiverfieldOld Pireway & Hwy 9050194
Rivers Edge VillageE. Country Club Dr0127
Riverwood at Sherwood ForestGraham Road0147
Rose Estates (now Hainer Place)SC-65 & Lite Road080
Saint Mark's WoodsHwy 90 and E. Cox Ferry Rd7891
Shell Bay EstatesHighway 905022
Shelley Park SouthShelly Farm Rd and Bucksville Dr0384
Spring Beauty EstatesSpring Beauty Drive0100
The Meadows at Four MileFour Mile Road086
The Reserve at ElmhurstCultra Road & Oak Street0125
TimberlineAllentown Road0240
Triple Crown EstatesFour Mile Road030
Warden StationPitch Road & Highway 70119381380
Westbury PlantationOld Reaves Ferry Road0187
Willows at Pitch LandingPitch Landing Road0121

NOTE: The estimated planned units above are for information purposes only and there is no guarantee on the accuracy of this data.
See Horry County Planning and Zoning for current data.
The Conway community is rapidly growing and the new construction opportunities in Conway are ever-changing. A significant amount of time is dedicated to ensuring that the content on this site is comprehensive and accurate. The efforts of our sponsors are greatly appreciated.
New Homes in Conway
Primary Sponsor
Vsansant Realty Group - Full service real estate brokerage serving Myrtle Beach.
(843) 940-3609

Links to Useful Resources for Longs, SC