New Homes Conway - Site will list all new homes in Conway, SC
New Homes in Conway South Carolina
(843) 940-3609

This New Homes in Conway site is focused solely on providing a simplified guide to all of the new home communities in Conway, SC. This web site is independently managed to serve and support development of the Conway community and is a unique Conway new home resource. All Conway new home communities are presented without the influence or dependence of community or builder advertising. Input to improving the quality of this community resource presenting new construction in Conway is welcomed and appreciated. Information on this site was last updated May 2026.
Willows at Pitch Landing
Conway New Home Community By Mungo
Pitch Landing Road, Conway, SC, 29526
New home community of Willows at Pitch Landing in Conway
Willows at Pitch Landing
121 Single Family Lots
Willows at Pitch Landing in Conway
Preliminary
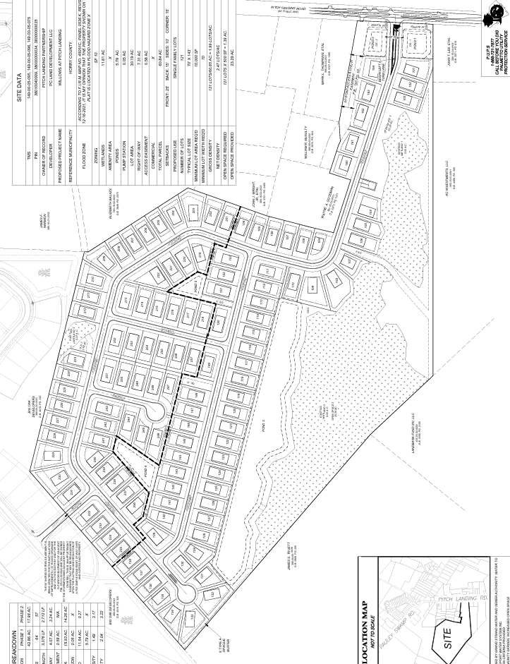
Overall Master Plan
Willows at Pitch Landing
Preliminary Site Map
For information purposes only
Data subject to change
Courtesy of Horry County
Prices (estimate only) Starting from :
Summary of this Conway New Home Community:
The Willows at Pitch Landing is a new home community coming to Conway.

Willows at Pitch Landing will be developed on an approximate 60 acre parcel of land, southwest of downtown Conway, west of Highway 701, and directly off of Pitch Landing Road.

Preliminary plans are for there to be 121 single family lots in the new home community of Willows at Pitch Landing in Conway.

Construction plans have been approved to move forward with 100 lots be platted in accordance with the Land Developments Regulations for one point of external access. After the second point of access is built on the adjacent parcel (labeled “Future” in the accompanying graphic) and paved, then the County would allow for the remaining 21 lots to be recorded.

The Master Plan for the Willows at Pitch Landing includes 121 single-family lots on one 66’ wide external access point beginning on Pitch Landing Road. The “Future” proposed adjacent project, with 77 lots, if approved, would provide a second point of access to Pauley Swamp Road. The adjacent proposed project has been in review for 5 years and does not have construction plan approval at this time.

Mungo Homes began to purchase parcels of this new subdivision in January of 2025.

Mungo Homes is expected to be the builder in the Willows at Pitch Landing.

As of April 2025, Mungo Homes has not yet announced specific timing of development.

Existing Homes for Sale in this Conway New Home Community:
The Willows at Pitch Landing is a new Conway home community by which development has not yet started. As a result, there are currently no spec homes for sale of homes for resale in this Conway new home community.
Homes for Sale in the Willows at Pitch Landing
Conway new home community news
New Construction in Conway - all active Listings
Conway new home community news
Planned Future Subdivisions in the Myrtle Beach Area
Willows at Pitch Landing is one of several new future subdivisions planned for the Myrtle Beach area. See below for a more complete list of the future subdivisions planned for the Myrtle Beach area.
CommunityAddressEst Multi-FamilyEst Single-Family
Ash PlantationHighway 701068
BrookhavenJuniper Bay Rd & Hwy 3786501017
Carroll FarmsW Hwy 19 and Hwy 668046
Cates BaySpring Beauty Drive0116
Cates Bay CrossingCates Bay Highway095
ClearbrookJohn Doctor Road0230
Collins JollieCollins Jollie Road01333
Colonial FarmsSC Highway 54897131
Copper Pointe116 Copper Pointe Loop0153
Country Manor EstateFour Mile Road049
Dunn's Ferry1260 West Cox Ferry Road051
East Cox Ferry TownhomesEast Cox Ferry Road750
Glenwood at Cates BayCates Bay Highway0100
Haven at Wild WingWild Wing Boulevard5340
HomesteadHighway 9050127
Hugo Road EstatesHugo Road053
Juniper Bay1400 Busy Corner Road061
Kingston PreserveHwy 378 & Hemingway Chapel Rd0407
Long Branch EstatesLong Branch Rd and Hwy 65074
Maple GroveAutumn Maple Drive0343
Martin FarmBrowns Way Shortcut Rd0337
Medlen ParkMedlen Parkway1020
Mills PointeBelladora Road660
Norris FarmsDock Road0134
Oak Haven1815 Westridge Boulevard010
Palmetto Bays EstatesSC 814 & Route 544120350
Palmetto Springs101 Spring Beauty Drive0100
Pelican PointeHwy 378 & Hemingway Chapel Rd0407
Poplar Oaks101 Anderson Tract Drive080
Reserve at MillpondMill Pond Lane2340
RiverfieldOld Pireway & Hwy 9050194
Rivers Edge VillageE. Country Club Dr0127
Riverwood at Sherwood ForestGraham Road0147
Rose Estates (now Hainer Place)SC-65 & Lite Road080
Saint Mark's WoodsHwy 90 and E. Cox Ferry Rd7891
Shell Bay EstatesHighway 905022
Shelley Park SouthShelly Farm Rd and Bucksville Dr0384
Snow Hill EstatesE. Country Club Dr & Hwy 905043
The Meadows at Four MileFour Mile Road086
The Reserve at ElmhurstCultra Road & Oak Street0125
TimberlineAllentown Road0240
Triple Crown EstatesFour Mile Road030
Warden StationPitch Road & Highway 70119381380
Westbury PlantationOld Reaves Ferry Road0187
Willows at Pitch LandingPitch Landing Road0121

NOTE: The estimated planned units above are for information purposes only and there is no guarantee on the accuracy of this data.
See Horry County Planning and Zoning for current data.
The Conway community is rapidly growing and the new construction opportunities in Conway are ever-changing. A significant amount of time is dedicated to ensuring that the content on this site is comprehensive and accurate. The efforts of our sponsors are greatly appreciated.
New Homes in Conway
Primary Sponsor
Vsansant Realty Group - Full service real estate brokerage serving Myrtle Beach.
(843) 940-3609

Links to Useful Resources for Longs, SC